-
Ataque en playa de Sídney parece "motivado por la ideología" del EI, dice primer ministro
-
Australia endurecerá la legislación sobre porte de armas tras ataque en Sídney
-
Angelina Jolie muestra las cicatrices de su mastectomía en la primera edición de Time France
-
Paz instala comisión para que indague desfalco millonario en hidrocarburos en Bolivia
-
Al menos 20 muertos y decenas de desaparecidos por desborde de río en Bolivia
-
Kast promete un gobierno de "unidad nacional" tras su arrollador triunfo en Chile
-
Al menos 20 muertos y decenas de desaparecidos por el desborde de un río en Bolivia
-
Los agricultores franceses mantienen sus bloqueos para decir alto al sacrificio de ganado
-
Machado sufrió una fractura vertebral en su agitada salida de Venezuela
-
Pedro Sánchez mantiene el rumbo pese a los escándalos en España
-
Autoridades retoman búsqueda de tirador que mató a dos personas en universidad de EEUU
-
El gobierno de Trump se prepara para publicar los archivos del delincuente sexual Epstein
-
Ucrania celebra "avances reales" en conversaciones con emisarios de EEUU sobre conflicto con Rusia
-
Sánchez anuncia un abono de transporte de 60 euros por mes en España
-
Loguearse, streaming y turismofobia se añaden al diccionario de la RAE
-
Un vistazo a la mente de John Howe, el ilustrador de Tolkien
-
El Gobierno español multa a Airbnb con 64 millones de euros por anuncios ilegales de viviendas turísticas
-
Un diputado de extrema derecha es procesado en Alemania por hacer el saludo nazi en el Parlamento
-
Rusia designa al grupo punk disidente Pussy Riot "organización extremista"
-
El compromiso del Partido Socialista español con el feminismo es "absoluto", afirma Pedro Sánchez ante los escándalos
-
Los hondureños cumplen dos semanas sin saber quién será su futuro presidente
-
Tailandia celebrará elecciones legislativas el 8 de febrero
-
El cantante británico Cliff Richard revela que se sometió a un tratamiento por cáncer de próstata
-
El gobierno español expresa su voluntad de "trabajar de forma estrecha" con el presidente electo de Chile
-
Camboya acusa a Tailandia de bombardear la provincia que alberga los templos de Angkor
-
La policía surcoreana allana la sede de la Iglesia de la Unificación
-
Un exmagnate prodemocracia de Hong Kong, condenado por atentar a la seguridad nacional
-
China dice que el crecimiento de la venta minorista alcanza su nivel más bajo en tres años
-
Miss Universo cierra sus oficinas en México por "ataques políticos"
-
El bloque ALBA acuerda un plan de apoyo energético para Cuba
-
Mueren 37 personas en crecidas repentinas en la localidad costera de Marruecos
-
Dieciséis estudiantes y un conductor mueren en un accidente de autobús en Colombia
-
Las negociaciones sobre el acuerdo UE-Mercosur encaran una difícil recta final por la oposición de Francia
-
Roberto Carlos se accidenta en su Cadillac, pero sale ileso
-
El Louvre cierra este lunes por una huelga de su personal
-
"La madurez es maravillosa", dice la bailaora Sara Baras
-
El Oviedo despide a Luis Carrión tras caer 4-0 ante el Sevilla
-
María Corina Machado apoya la incautación de un petrolero venezolano por EEUU
-
Buscan a tres tripulantes de un pesquero naufragado en el norte de Portugal
-
La FIFA entregará el premio The Best este martes
-
Mariah Carey cantará en la inauguración de los Juegos de invierno Milán-Cortina
-
Zelenski y los emisarios de EEUU prosiguen las conversaciones en Berlín sobre el fin del conflicto en Ucrania
-
"¡Aún estamos aquí!": miles marchan en Brasil contra la rebaja de pena a Bolsonaro
-
Trump alude a una posible derrota republicana en las legislativas de 2026
-
Zelenski y emisarios de EEUU prosiguen las conversaciones en Berlín sobre el fin del conflicto en Ucrania
-
Alemania dice que impidió un plan islamista de atacar un mercado navideño
-
Denuncian la detención del director de un medio de comunicación en Venezuela
-
Australia endurecerá la legislación sobre porte de armas tras mortífero tiroteo en Sídney
-
Un incidente de un avión causa un incendio en un aeropuerto de Washington
-
Siria y la coalición lanzan una operación contra "células durmientes" tras un ataque a soldados de EEUU
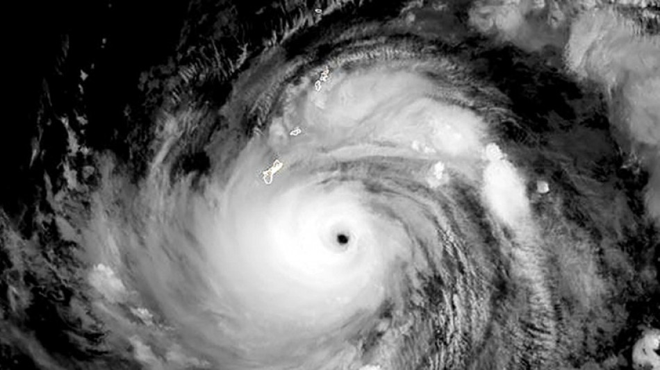
La isla estadounidense de Guam se prepara para el impacto del supertifón Mawar
El supertifón Mawar, con vientos potencialmente catastróficos, se dirige directamente a la isla de Guam, territorio de Estados Unidos situado en el Pacífico y puesto militar de crucial importancia.
Según un informe del Servicio Meteorológico Nacional (NWS, por sus siglas en inglés), Mawar se estaba intensificando hasta convertirse en un supertifón de categoría cinco, con vientos máximos sostenidos de 255 kilómetros por hora.
"Estoy preocupado por la seguridad de nuestra gente. Es la primera tormenta de esta magnitud en 20 años", dijo el gobernador Lou Leon Guerrero.
En su trayectoria actual, Mawar pasará directamente sobre la isla de 170.000 habitantes, desatando lluvias torrenciales e inundaciones extremas. "Se prevé que Mawar se intensifique a lo largo de la noche", dijo el NWS.
A las 04H00 locales del miércoles (18H00 GMT del martes), la tormenta estaba 135 kilómetros al sureste de Guam, con vientos máximos sostenidos de 155 km/h, dijo la oficina del NWS en Guam en una advertencia.
"El paso muy cerca o directamente sobre Guam es inminente", dijo el meteorólogo.
"La triple amenaza del supertifón Mawar son las lluvias torrenciales que pueden provocar deslizamientos de tierra e inundaciones repentinas, vientos catastróficos e inundaciones costeras potencialmente letales", dijo.
Los vientos podrían alcanzar ráfagas de hasta 320 km/h, provocando daños importantes en edificios y casas hechos de materiales livianos.
En las costas, los grandes barcos "podrían ser arrancados de las amarras".
Las autoridades ordenaron la evacuación de las zonas costeras bajas, especialmente en las aldeas del sur propensas a inundaciones, y pidieron a todos que "se refugien inmediatamente" ante los vientos destructivos que se esperan para el miércoles por la mañana.
Unos 21.700 militares estadounidenses y sus familias tienen su base en o cerca de varias instalaciones de Guam, que habitualmente alberga submarinos nucleares de ataque, bombarderos de largo alcance y puestos de escucha electrónica.
Las bases estadounidenses también alojan algunas de las instalaciones de almacenamiento de municiones y combustible más importantes de la región del Pacífico.
Según las previsiones, las precipitaciones podrían provocar deslizamientos de tierra en el centro y el sur de la isla, advirtió el servicio meteorológico.
El presidente de Estados Unidos, Joe Biden, declaró el martes el estado de emergencia para Guam, para que se pueda proporcionar ayuda federal a la isla, según un comunicado de la Casa Blanca.
Alrededor de 60 vuelos hacia y desde Guam programados entre el martes y el jueves fueron cancelados, según el Aeropuerto Internacional A.B. Won Pat.
Se prevé que las condiciones mejoren el jueves.
P.Queiroz--PC